Grækenlands første store akvarium, der giver et spændende indblik i havmiljøet
I CretAquarium i Thalassokosmos går du rundt blandt store akvarier, hvor du hurtigt opdager, hvor meget liv der gemmer sig i Middelhavet. Det giver altid et lille sug i maven, når en haj eller en stingray glider lige forbi glasset, og det er en af de oplevelser, der er et stop værd, hvis du er på kør-selv-ferie med børn.
CretAquarium åbnede i 2005 som en del af det store forskningscenter Thalassokosmos ved Gournes. Det blev grundlagt af forskere, der ville skabe Grækenlands første store akvarium og formidle viden om havets betydning på en måde, du rent faktisk kan se og forstå, mens du går rundt mellem de mange tanke i de fem sektioner, med hver deres tema.
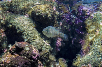
Du kan følge med i fodringer, se alt fra små rokker til lokale Middelhavsarter og få et godt billede af, hvordan havmiljøet hænger sammen. Det hele ligger lige ud til hovedvejen, så det er nemt at kombinere med mange andre seværdigheder på din kør-selv-ferie, uanset om du er på vej mod Heraklion eller videre østpå.
Derfor bør du opleve CretAquarium
- Det er det største kompleks for marin forskning, teknologi og underholdning i Middelhavsområdet.
- Du får et spændende blik ind i havforskning.
- Du kan se mere end 200 arter fra Middelhavet.
Inspiration
Fakta om CretAquarium
- Beliggenhed: Cirka 18 kilometer øst for Heraklion.
- Årstal: Åbnede i 2005.
- Størrelse: 32 akvarier med 50 udsigtspunkter.
- Historie: Skabt af græske havforskere, der ville informerer om havmiljøet på en interessant og forståelig måde.
- Kendt for: Rokker, hajer, lokale arter fra Middelhavet og moderne forskning.
- Bedste tidspunkt: Hele året.
- Et godt tip: Kom tidligt hvor der er færrest besøgende.
Seværdigheder i nærheden af CretAquarium
- Dinosauria Park: Ligger næsten dør om dør med akvariet og er oplagt at besøge, hvis du rejser med børn.
- Knossos paladset: Her går du bogstaveligt talt i fodsporene på Europas første civilisation – minoerne og du får et godt indblik i Kretas spændende historie.
- Heraklion: Hovedstaden på Kreta, hvor det summer af liv. Besøg fx den venetianske havn og den imponerende fæstning Koules, hvor der er en helt speciel stemning ved solnedgang.